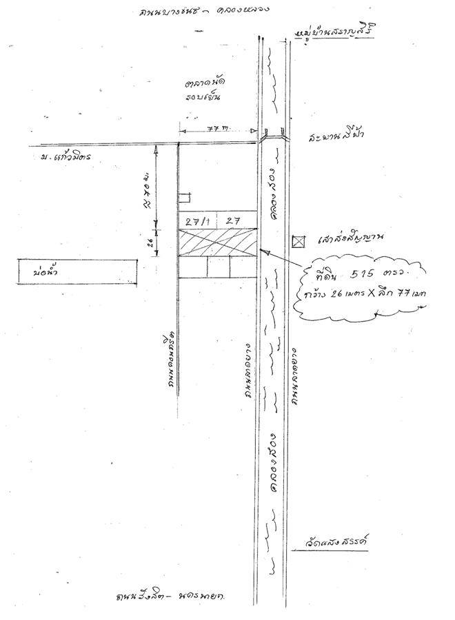
ขายที่ดินติดถนนเลียบคลองสองรังสิต 515 ตรว. ด่วน ติดถนนหน้า-หลัง สวยมาก
ขายที่ดินติดถนนเลียบคลองสองรังสิต 515 ตรว. ด้านหน้าติดถนนติดคลองสอง ด้านหลังติดถนนโครงการณ์ ที่เป็นสีเหลี่ยมผืนผ้า กว้าง 26 ม. ลึก 77 ม. สวยมากน่าอยู่อาศัย ทำโรงแรม อพาร์ทเมนต์ โรงงานขนาดเล็ก มีมูลค่าเพิ่มในอนาคตสูง
การเดินทาง ถ้ามาจากถนนพหลโยธิน มุ่งหน้าไปทางถนนรังสิต-นครนายก เลี้ยวซ้ายเข้าคลองสอง
ผ่านวัดแสงสรร ไปนิดเดียว
สถานที่ใกล้เคียง
1.ห้างสรรพสินค้าฟิวเจอร์พาร์ครังสิต ระยะทาง 7 กม.
2.ตลาดไท 7 กม.
3.มหาลัย - โรงพยาบาลธรรมศาสตร์ 7 กม. ในอนาคตเป็นต้นทางรถไฟฟ้า
4.วัดพระธรรมกาย 5 กม.
5.ดรีมเวิร์ด คลอง 4 4 กม.
6.ม.กรุงเทพ คุณ วิลาศ 086-5378887
![]() | ![]() |
| ราคา: | 12,000 / ตรว. | ต้องการ: | ขาย | ||
| ติดต่อ: | วิลาศ | อีเมล์: | |||
| สภาพ: | ใหม่ | จังหวัด: | ปทุมธานี | ||
| โทรศัพย์: | 0865378887 | IP Address: | 223.204.202.xx | ||
| มือถือ: | 0865378887 | ||||
| ที่อยู่: | คลองสองรังสิต | ||||
| คำค้น: | ขายอาคารพาณิชย์เลียบคลอง3 รังสิต | | ||||


