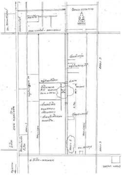
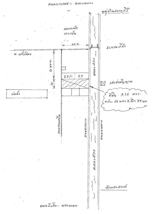
ขายที่ดิน 1ไร่ 115 ตรว. ติดถนนเลียบคลองสอง ติดถนนหน้าหลัง สวยมาก
ขายที่ดิน 1ไร่ 115 ตรว สวยมาก ทีดินติดถนน หน้าหลัง ด้านหน้าติดถนนเลียบคลองสอง กว้าง 26 ม.x 77ม. เหมาะที่จะปลูกบ้าน อพาร์ทเมนต์ โรงแรม โรงงานขนาดเล็ก อยู่ถนนเลียบคลองสอง ช่วงระหว่าง ถนนรังสิต-นครนายก -เส้นวัดพระธรรมกาย ใกล้วัดแสงสรร วัดกล้าชะอุ่ม หมูบ้านสราญสิริ ที่ดินสวยมากปลอดจำนอง โฉนดพร้อมโอน ขาย 12,000 บาท/ตรว. ติดต่อคุณต่าย 086-5378887
![]() | ![]() |
| ราคา: | 12,000 / ตรว. | ต้องการ: | ขาย | ||
| ติดต่อ: | ต่าย | อีเมล์: | |||
| สภาพ: | ใหม่ | จังหวัด: | ปทุมธานี | ||
| โทรศัพย์: | 0865378887 | IP Address: | 223.204.202.xx | ||
| มือถือ: | - | ||||
| ที่อยู่: | คลองสองรังสิต | ||||
| คำค้น: | ขายที่ดินติดถนนและคลองเลียบคลองสองรังสิต | ขายที่ดินติดถนนลาดพร้าว 115 | ขายที่ดินติดถนนเลียบคลองสอง 2 ไร่ | ขาย ติด ถนน ลาดพร้าว | ขายที่ดิน ถนน เลียบคลองสอง | ขายที่ดินติดถนนเลียบคลองสองรังสิต | | ||||


