ทาวน์เฮ้าส์ ม.เดอะคอนเนค ถ.กิ่งแก้ว ขายทาวน์เฮ้าส์ สภาพดี พร้อมอยู่ใกล้สนามบินสุวรรณภูมิ

หน้าแรก » บ้าน ที่ดิน และ การตกแต่ง » บ้าน ที่อยู่อาศัย

ทาวน์เฮ้าส์ ม.เดอะคอนเนค ถ.กิ่งแก้ว ขายทาวน์เฮ้าส์ สภาพดี พร้อมอยู่ใกล้สนามบินสุวรรณภูมิ


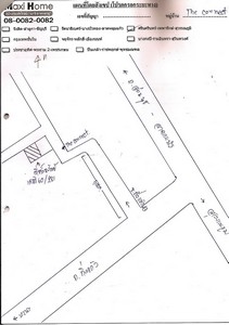
  ชื่อทรัพย์สิน: ทาวน์เฮ้าส์ ม.เดอะคอนเนค ถ.กิ่งแก้ว พื้นที่: 21 ตร.ว. ราคา: 2,000,000 บาท ที่ตั้ง: 15 ม.เดอะคอนเนค ซ.กิ่งแก้ว 43 ถ.กิ่งแก้ว ต.ราชาเทวะ  อ.บางพลี จ.สมุทรปราการ  รายละเอียดทรัพย์สิน 2 ชั้น 3 ห้องนอน 2 ห้องน้ำ 1 ห้องรับแขก 1 ห้องครัว 2 ที่จอดรถ รายละเอียดสถานที่ ใกล้สถานที่ศึกษา ร.ร.พรมพิกุลทอง/ร.พ.จุฬารัตน์ 9/สนามบินสุวรรณภูมิ ใกล้สถานที่อื่นๆ


   
   


ราคา: 2,000,000 บาทต้องการ: ขาย
ติดต่อ: maxihome maxihomeอีเมล์: 
สภาพ: มือสอง จังหวัด: กรุงเทพมหานคร
โทรศัพย์: 0800820082IP Address: 110.168.86.xx
มือถือ: 0800820082
ที่อยู่: 29 ซ.เฉลิมพระเกียรติ ร.9 ซอย 1 แขวงหนองบอน เขตประเวศ กรุงเทพมหานคร 10250

คำค้น:  ขายบ้านทาวเฮ้าส์ ม.เดอะ คอนเนค สุวรรณภูมิ | เดอะคอนเนคกิ่งแก้ว | ห้องนอน เดอะคอนเนค | ทาวน์เฮาส์ เดอะคอนเนค สนามบินสุวรรณภูมิ | รีวิวเดอะคอนเนค | ทาวน์เฮ้าส์ ใกล้สนามบินสุวรรณภูมิ | ขายทาวน์เฮ้าส์คอนเนค | ทาวน์เฮ้าส์ ใกล้สุวรรณภูมิ |



ดูสินค้าอื่นๆ | ลงประกาศ | เลื่อนประกาศขึ้น | ลบประกาศ | แก้ไขประกาศ

[ รับจำนอง ขายฝาก บ้าน ที่ดิน ทั่วประเทศ กู้เงินง่าย ได้เงินไว ไม่เช็คแบล็คลิส ]