ที่ดินเปล่า ซ.นุ่มจำนงค์ บางใหญ่ ที่ดินเปล่า ทำเลดีใกล้ ม.มหิดลศาลายา เหมาะซื้อไว้ลงทุน หรือปลูกบ้าน ราคาขายถูกมากและยังสามารถต่อรองกันได้อีก
โดย คุณประกอบ ทองมี ปรับปรุงล่าสุดเมื่อ 17 ส.ค. 2554.
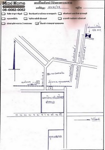
ชื่อทรัพย์สิน: ที่ดินเปล่า ซ.นุ่มจำนงค์ บางใหญ่
พื้นที่: 125 ตร.ว.
ราคา: 625,000 บาท
ที่ตั้ง: 2 ต.บางใหญ่ (บ้านใหม่) อ.บางใหญ่ จ.นนทบุรี
รายละเอียดทรัพย์สิน
หน้ากว้าง 26 เมตร ลึก 20 เมตร
รายละเอียดสถานที่
ใกล้สถานที่ศึกษา
ม.มหิดล ศาลายา/ร.ร.พระตำหนักสวนกุหลาบ/ร.ร.กาญจนาภิเษก/พุทธมณฑล/สถานีรถไฟ/ที่ว่าการอำเภอพุทธมณฑล
| ราคา: | 625,000 บาท | ต้องการ: | ขาย |
| ติดต่อ: | คุณประกอบ ทองมี | อีเมล์: |  |
| สภาพ: | มือสอง
| จังหวัด: | กรุงเทพมหานคร |
| | | |
| โทรศัพย์: | 08-58144711 | IP Address: | 110.168.86.xx |
| มือถือ: | 08-58144711 | |
| ที่อยู่: | 29 ซ.เฉลิมพระเกียรติ ร.9 ซอย 1 แขวงหนองบอน เขตประเวศ กรุงเทพมหานคร 10250 |
|
| คำค้น: |
ปลูกบ้าน ศาลายา |
|