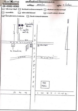
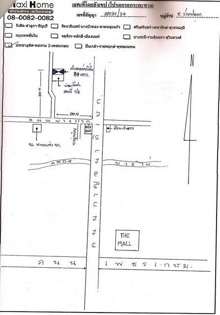
ที่ดินเปล่า ถ.บางแวก ซ.ร่วมพัฒนา ที่ดินทำเลดี เหมาะปลูกบานที่อยู่อาศัย ห่างจากถนนบางแวกเพียง 200 เมตรและห่างจาก ถนนกาญจนาภิเษก เพียง 400 เมตร เจ้าของต้องการขายด่วน ราคาสามารถต่อรองได้อีก
ชื่อทรัพย์สิน: ที่ดินเปล่า ถ.บางแวก ซ.ร่วมพัฒนา พื้นที่: 83 ตร.ว. ราคา: 3,700,000 บาท ที่ตั้ง: ซ.ร่วมพัฒนา แขวงบางไผ่ อ.ภาษีเจริญ จ.กรุงเทพมหานคร รายละเอียดทรัพย์สิน หน้ากว้าง 20 เมตร ลึก 17 เมตร รายละเอียดสถานที่ ใกล้สถานที่ศึกษา ร.ร.บางไผ่/เดอะมอลล์บางแค
![]() | ![]() | ![]() | |||
![]() |
| ราคา: | 3,700,000 บาท | ต้องการ: | ขาย | ||
| ติดต่อ: | คุณประกอบ ทองมี | อีเมล์: | |||
| สภาพ: | มือสอง | จังหวัด: | กรุงเทพมหานคร | ||
| โทรศัพย์: | 08-58144711 | IP Address: | 124.121.211.xx | ||
| มือถือ: | 08-58144711 | ||||
| ที่อยู่: | 29 ซ.เฉลิมพระเกียรติ ร.9 ซอย 1 แขวงหนองบอน เขตประเวศ กรุงเทพมหานคร 10250 | ||||
| คำค้น: | ที่ดินเปล่าแนวถนนบางแวก | ขายที่ดินเปล่า ถนนบางแวก | ที่ดินเปล่า บางแวก | ขาย ที่ดิน ผ่อน ได้ 400 | | ||||




