ที่ดินพร้อมสิ่งปลูกสร้าง ถ.พุทธมณฑล สาย 7 ที่ดินสวย ร่มรื่น เหมาะทำที่พักตากอากาศหรือลงทุนประกอบกิจการ ใกล้ย่านพุทธมณฑล
โดย จรูญ พันธ์งาม ปรับปรุงล่าสุดเมื่อ 15 ก.ย. 2554.
รหัสทรัพย์สิน: MXH3951123
ชื่อทรัพย์สิน: ที่ดินพร้อมสิ่งปลูกสร้าง ถ.พุทธมณฑล สาย 7
พื้นที่: 350 ตร.ว.
ราคา: 3,000,000 บาท
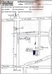
ที่ตั้ง: 3 ถ.พุทธมณฑล สาย 7 แขวงหอมเกร็ด อ.สามพราน จ.นครปฐม
รายละเอียดทรัพย์สิน
หน้ากว้าง 40 เมตร ลึก 36 เมตร มีบ้าน 1 ชั้น 2 หลัง
รายละเอียดสถานที่
ใกล้สถานที่ศึกษา
ม.มหิดลศาลายา/ม.ราชภัฎศาลายา/โลตัส สามพราน/ร.พ.สามพราน/วัดหอมเกร็ด/ร.ร.นายร้อยสามพราน/
สาธารณูปโภคใกล้เคียง
ทางด่วน
รถไฟฟ้า (BTS)
รถไฟฟ้าใต้ดิน (MRT)
โรงพยาบาล
วัด/โบส์/มัสยิด/สถานที่ศักดิ์สิทธิ์
โรงเรียน
สถานีตำรวจ
ห้างสรรพสินค้า
มหาวิทยาลัยhttp://www.maxihome.co.th/content/property.asp?propid=1123
| ราคา: | 3,000,000 บาท | ต้องการ: | ขาย |
| ติดต่อ: | จรูญ พันธ์งาม | อีเมล์: |  |
| สภาพ: | ใหม่
| จังหวัด: | กรุงเทพมหานคร |
| | | |
| โทรศัพย์: | 0877170908 | IP Address: | 58.11.233.xx |
| มือถือ: | 0877170908 | |
| ที่อยู่: | 29 ถ.เฉลิมพระเกียรติ ซอย 1 แขวงหนองบอน เขตประเวศ จังหวัดกรุงเทพมหานคร 10250 |
|