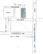
ขาย ที่ดินทำเลดี ติดคลองประเวศบุรีรมย์ เป็นโฉนดเนื้อที่ 7 ไร่ เหมาะทำบ้านพักหรือจัดสรร
ขาย ที่ดินพร้อมสปส.ชั้นเดียว บรรยากาศดีติดคลองประเวศบุรีรมย์ ที่ดินโฉนดเนื้อที่7ไร่ ใกล้เคียง มีโรงเรียน สถาบันการเงิน โรงพยาบาล สนามบิน ถนนมอเตอร์เวย์ ที่ดินเหมาะปลูกสร้าง บ้านพักอาศัยที่ดินโฉนดพร้อมโอนกรรมสิทธิ์ พิกัดGPS=13.6486N,100.9991E
![]() | ![]() | ![]() | |||
![]() | ![]() |
| ราคา: | 1,000,000 บาท | ต้องการ: | ขาย | ||
| ติดต่อ: | Paitoon T.sakdikul | อีเมล์: | |||
| สภาพ: | ใหม่ | จังหวัด: | |||
| โทรศัพย์: | 0818418566 | IP Address: | 223.206.100.xx | ||
| มือถือ: | 0818418566 | ||||
| ที่อยู่: | ต.เทพราช อ.บ้านโพธิ์ | ||||
| คำค้น: | ติดคลอง | คลองประเวศบุรีรมย์ | คลอง | คลองประเวศ | ขายที่ดินติดคลอง ประเวศบุรีรมย์ | | ||||





