ขายที่ดิน 15 ไร่ โคราช ติดทาง 2 ด้าน เพียง 3.1 แสน/ไร่
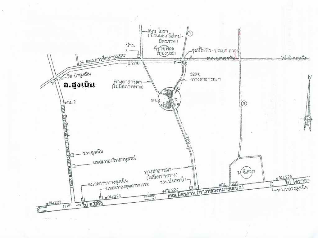
ขายที่ดิน 15.5 ไร่ และ 12 ไร่ ใกล้โรงงานซีเกต อ.สูงเนิน โคราช ที่เป็นโฉนด ถมแล้ว เหมาะสร้างโรงงานอุตสาหกรรม-โกดัง-บ้านจัดสรร ขายที่ดิน 2 แปลง ติดถนน 2 ด้านทั้ง 2 แปลง เนื้อที่15-2-53 ไร่ และ 12-0-73 ไร่ เป็นโฉนด ใกล้โรงงานซีเกต-เขตอุตสาหกรรมนวนคร อ.สูงเนิน โคราช ติดถนนตัดใหม่ ข้าง รพ.ป.แพทย์ 4 ก่อนถึง ร.ง.ซีเกต 250 เมตร ห่างจากถนนมิตรภาพ เพียง 1.6 กม. ห่างจากถนนยุทศาสตร์ 500 เมตร การคมนาคมสะดวก ที่ติดถนนเมนกว้างทั้ง 2 ด้าน เป็นถนนลูกรังบดอัด กำลังจะลาดยาง เข้าออกได้หลายทาง ทั้งถนนมิตรภาพ และถนนยุทธศาสตร์ ที่ดินเอกสารสิทธิ์เป็นโฉนด สภาพที่ดินปรับถมแล้ว สูงกว่าถนนประมาน 30 ซม. เหมาะสร้างโรงงานอุตสาหกรรม โกดัง หรือบ้านจัดสรร ฝั่งตรงข้ามที่ดินเป็นที่สาธารณประโยชน์กำลังจะก่อสร้างสนามกีฬา+สวนสาธารณะ ประจำอำเภอสูงเนิน งบประมาณ 6 ล้านกว่า งบประมาณมาแล้ว คาดเริ่มงาน กลางปี 54 นี้ ที่แถบนี้กำลังเจริญ มีโรงงานอุตสาหกรรมขึ้นใหม่จำนวนมาก ใกล้กัน มีชุมชน ตลาด ร้านค้า เซเว่น รีสอร์ท หอพัก ฯลฯ ที่ดินใกล้เคียง (ซ.ข้าง รง.ซีเกต) ปัจจุบันซื้อขายกันราคา 1.3-2.0 ล้านบาท/ไร่ ราคานี้เราขายถูกมาก สามารถเปรียบเทียบกับที่แปลงอื่นได้เลย (แบ่งขายได้ 5-10 ไร่) สนใจรีบติดต่อด่วนที่... คุณศักดิ์ 086-7216848 ราคา 310,000 บาท/ไร่
คลิกชมรายละเอียด ภาพถ่าย และแผนที่ ได้ที่ : http://www.koratindex.com/asset2/index.php?op=viewAsset&asset_id=420
คลิกที่นี่ เพื่อดูบ้านและที่ดินราคาถูกในโคราช http://www.koratindex.com
![]() | ![]() | ![]() | |||
![]() |
| ราคา: | 310,000 บาท | ต้องการ: | ขาย | ||
| ติดต่อ: | eeeer | อีเมล์: | |||
| สภาพ: | มือสอง | จังหวัด: | |||
| โทรศัพย์: | 0865522478 | IP Address: | 49.48.66.xx | ||
| มือถือ: | 0815483736 | ||||
| คำค้น: | ราคาถูก | โคราช | บ้านมือสอง | ที่ดิน | | ||||




